Ranchette Close To Highway 160
Fort Garland, CO 81133
Costilla County, Colorado
Lot Description
Terms Offered: 20% Down Payment of $2,400, 9.9% Interest Rate, $300 Monthly Payment, 36 Month Term
Location & Size
The subject property is a 5.1 acre lot located in Sangre De Cristo Ranches, a sprawling rural subdivision found just outside Fort Garland where the high plains desert of the San Luis Valley meets the foothills of the surrounding mountain territory.
County, State: Costilla County, Colorado
Lot Size: 5.12 Acres
Nearest Town: San Luis
Street Address: Not Designated
Zip Code: 81152
Latitude & Longitude:
Center: 37.44510,-105.37230
Nw: 37.44540,-105.37350
Ne: 37.44610,-105.37270
Sw: 37.44410,-105.37180
Se: 37.44480,-105.37110
Legal Information
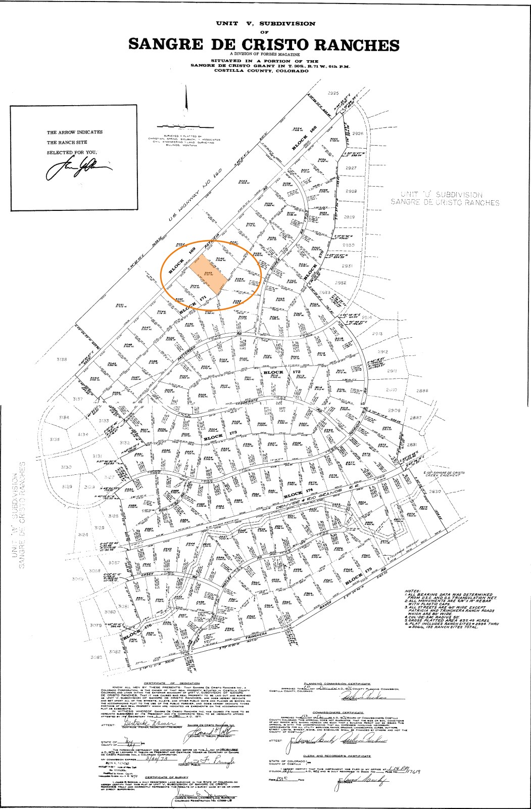
Legal Description: Sangre DE Cristo Ranches, Unit V, Block 171, Lot 3043
Parcel Number: 70266820
Account Number: R017140
Annual Taxes: $174.00
Access & Utilities
Roads & Access: The subject property is located along Patricia Road just south of Highway 160. Like all the roads in the Sangre De Cristo Ranches, this one is composed of dirt and gravel but is County-maintained and thus, should be easy to navigate in any vehicle type. Despite this fact, anyone scouting the property is advised to remember that this subdivision is located in a higher elevation where snowfall is not uncommon. In short, if visiting the property for the first time, weather should dictate vehicle selection.
Roads & Access, Cont'd: The subject property is located on a road which some maps identify as Patricia, while others identify it as Patterson. Anyone scouting the property should be aware of this discrepancy.
Power & Utilities: Though very close Highway 160, there are no power lines within a mile of the subject property. Because of this, anyone looking to develop the land is encouraged to consider alternative forms of power such as solar panels. Anyone looking to investigate the costs associated with connecting power on the subject property is encouraged to contact the San Luis Valley Rural Electric Cooperative, the utility company which services this region.
Legal Access: Yes
Access Road: Patricia Road
Access Condition: County-Maintained Dirt/Gravel Road
Access Frontage: 325 Feet - Northern Boundary
Power: Solar or Alternative
Phone: Mobile/Satellite
Water: Well or Holding Tank
Sewer: Septic/Alternative
Zoning & Restrictions
Zoning: Properties in the Sangre De Cristo Ranches are zoned E-R or Estate Residential, a designation which allows for residential areas developed at a higher density and where agricultural use is of incidental value. To learn more about the ER Zoning Designation, please see the attached Pdf.
No Hoa: While the Sangre De Cristo Ranches has an Owner's Association, it serves less as a governing body to enforce rules and more as a group tasked with arranging events which foster community pride. In short, it's an organization which has no say over how you use your land, inclusion in their ranks is voluntary and there are no mandatory dues associated with land ownership here. To learn more about this organization you can visit their website or their Facebook page.
Covenants, Conditions & Restrictions: When the Sangre De Cristo Ranches subdivision was created in the early 1970'S, the developer drew up a set of covenants and restrictions to run with the land. While most of these are what we like to refer to as "reasonable, good neighbor restrictions" dealing primarily with the disposal of trash and prohibitions on excess noise, there are a few covenants that deal with acceptable structures for the region as well as minimum square footage requirements of those structures. Because of this, anyone considering purchasing the land is encouraged to review the Sangre De Cristo Ranches Covenants and Restrictions document found here.
Covenants, Conditions & Restrictions, Cont'd: Notable restrictions enumerated in the above linked document include: Minimum square footage requirements are 600 sqft for a one-story dwelling and 800 sqft for a two-story dwelling. All construction must be completed within one year from the time of ground-breaking.
Short-Term RV Use: It should be noted that short-term camping, meaning up to fourteen days per three consecutive months, is allowed within this region. Anything longer than that will require a "long-term camping permit" which can be obtained from the Costilla County Planning & Zoning Department.
Long-Term RV Occupancy: Long-term RV Occupancy, typically done during construction of a permanent dwelling, generally requires both a hookup to an approved On-Site Wastewater Treatment System (Owts) as well as a well permit or cistern installed. The cost for the Long-Term permit is $350, is valid for 90 days and may be renewed for up to 18 months. It should also be noted that RV inspection is required before this permit will be issued.
Zoning: Estate Residential
HOA: No Formal Hoa, Only An Owners Organization
Covenants, Conditions & Restrictions: Yes
Annual Dues: $25.00 Voluntary
Time Limit On Building: 1 Year From Ground-Breaking
Title Info
Title: Free & Clear
Liens and Encumbrances: None
Mineral Rights: None
Recent Survey: None
Title Insurance: Yes - Insured Through Allpine Title Company
Conveyance Document: Warranty Deed
Suggested Type Of Closing: Title/Escrow
Doc Prep Fee: Waived
Misc.
Mountain Home Reservoir: Located within the Sangre De Cristo Ranches is Mountain Home State Wildlife Area. This region, which includes a 130-Acre lake stocked with rainbow, brown and cutthroat trout is an ideal spot for fishing in the spring and summer months and ice fishing during the winter. It should be noted, however, that while there are four boat ramps here, the lake is only a fishing lake and not a place where one might take a speed boat or jet ski.
Blanca Peak and Mt. Lindsey: Situated due north of the Sangre De Cristo Ranches are Blanca Peak and Mt. Lindsey, both of which overlook most every parcel in this region and will provide a stunning backdrop to your new home or seasonal campsite.
Nearby Towns
San Luis: 12 miles (15 mins)
Alamosa: 48 miles (50 min)
Taos, NM: 75 miles (1 hr 19 min)
Colorado Springs: 150 miles (2hr 23 min)
Denver: 218 miles (3 hr 23 min)
Nearby Attractions
Terrace Reservoir
La Jara Reservoir
Great Sand Dunes National Park
Trinidad Lake State Park
Monte Vista National Wildlife Refuge
Alamosa National Wildlife Refuge
Smith Reservoir
Mountain Home Reservoir
Taos Ski Valley
Things To Do in Taos
Bosque Del Oso State Wildlife Area
Spanish Peaks State Wildlife Area
Lathrop State Park
Lot Maps & Attachments
More Lot Details
More Lots from William Hemingway
New1 AC : $8K
New1.3 AC
1 AC : $10K
10.7 AC : $35K
0.3 AC : $16K
1.2 AC : $16K
5.8 AC : $18K
2.5 AC : $12K
1.1 AC : $30K
1.4 AC : $15K
1.7 AC : $14K
New0.2 AC : $15K




















