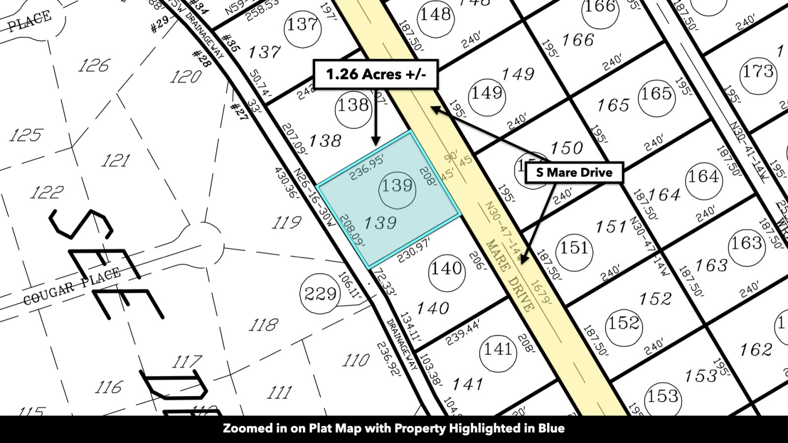
1.26 Acre Homesite w Power & Water
11030 S Mare Dr : Tucson, AZ 85736
Pima County, Arizona
Lot Description
1.26 Acres of Arizona Freedom in Pima County's Diamond Bell Ranch/Tucson Chaparral - Lot 139
Ever wonder what life might feel like with a little more room to breathe? Imagine 1.26 Acres of pristine desert landscape near Tucson, Arizona, where the quiet hum of nature replaces traffic noise. Step outside each morning, coffee in hand, greeted only by wide open skies and mountains etched against the horizon. There are few places left where nature's rhythms still set the pace of life, but this lot in Diamond Bell Ranch offers a lifestyle rooted in simplicity, space, and authentic desert beauty.
Mountain Views in Every Direction
Let's start with the views because they deserve your attention. Diamond Bell Ranch sits in a vast desert valley, surrounded by iconic mountain ranges that rise and fall along the horizon. To the southwest stands the majestic Baboquivari Mountains, crowned by sacred Baboquivari Peak-a landmark revered in Tohono O'odham culture.
Glance southeast, and you'll see the gentle slopes of the Sierrita Mountains.
To the northeast, the Tucson Mountains frame the glittering city lights, while to the northwest, the rugged Roskruge Mountains rise against open skies.
Nearby, the Coyote and Quinlan Mountains offer quiet trails, dark skies, and rare wildlife encounters.
Up Close & Personal with Nature
Atop Kitt Peak, just 30 miles away, sits one of the world's most celebrated astronomical observatories. Home to dozens of telescopes and the famous McMath-Pierce Solar Telescope, Kitt Peak draws stargazers from across the globe. But here at Diamond Bell Ranch, you won't need a telescope to be stunned by the night sky. Crisp air and minimal light pollution reveal the Milky Way so vividly you can trace its outline across the heavens, and constellations seem within reach. From fiery Arizona sunsets to the drama of monsoon thunderstorms, nature never fails to put on a show here.
The climate in this higher-elevation Sonoran Desert region offers mild winters and fairly predictable rainfall twice a year, around December and August. This unique weather pattern nourishes incredible biodiversity.
Privacy & Wildlife
Less crowded than many other regions, Diamond Bell Ranch is bordered by vast stretches of state-owned land. Around your Property, you'll find an ever-changing array of wildlife-everything from playful Quail and Dove to curious Javelina, Deer, Foxes, and countless birds.
The Sonoran Desert hosts more than 2,000 plant species and over 500 animal species-plus 1,000 different varieties of pollinating bees. Nature here doesn't just survive-it thrives.
Native Game & Hunting
Hunters appreciate access to game like Mule Deer, Coues White-tailed Deer, and even Merriam's Turkey, Black Bear, and the elusive Mountain Lion at higher elevations. Nearby wildlife refuges, such as the Coyote Mountains Wilderness Refuge, offer further exploration and outdoor adventure. Always check Arizona Game and Fish Department regulations for the latest details.
Access & Utilities
With 208 feet of Road Frontage and Power available along Mare Drive, practical considerations are already in place. Private Water Service is Available with Water Lines running near the Property. The Property's Southwest boundary even features natural drainage, essential during those refreshing desert rains.
Zoning & Opportunities
Zoned for a suburban homestead, this 1.26 Acre lot creates possibilities, not restrictions. Imagine a cozy adobe-style home, a modern desert dwelling, a mortgage-free manufactured home, or even a creative tiny house nestled among native plants. Gardens, greenhouses, chicken coops-this is your chance to cultivate a sustainable lifestyle, embracing the freedom of rural Arizona living.
The subdivision maintains light guidelines to protect privacy, Property values, and the natural character of the area, ensuring harmony among residents and wildlife alike.
Neighbors here include families, seasonal residents escaping harsh winters, small-business owners, and those who share a deep connection to the land. They value quiet spaces, friendly community, and a slower, more intentional lifestyle.
Outdoor Exploration
Want more exploration? Keystone Peak offers dramatic vistas and trails ideal for adventurous hikers. Saguaro National Park, famed for its towering cacti and remarkable landscapes, invites visitors to learn about the desert's delicate ecosystem.
Buenos Aires National Wildlife Refuge provides critical habitat for endangered species and opportunities to observe fascinating birdlife.
Spend a weekend at Patagonia Lake State Park boating, fishing, or simply unwinding beside tranquil waters. And the Coronado National Forest offers cool, forested terrain, diverse wildlife, and scenic campgrounds within easy reach.
Experience Tucson
When you're craving culture, entertainment, or shopping, vibrant Tucson is a comfortable drive away. Explore Old Tucson Theme Park's historic film sets, wander the Tucson Botanical Gardens' enchanting displays, picnic at Kennedy Park, or test your luck at Casino Del Sol. Aviation buffs will appreciate the impressive collection of aircraft at Pima Air & Space Museum.
Enjoy Your Freedom at Diamond Bell Ranch?
Whether you're creating a vacation lodge experience, building a bed and breakfast for stargazers, or simply designing your personal escape from city hustle, Lot 139 in Diamond Bell Ranch offers something rare: freedom, flexibility, and a reminder of what matters most.
Life is short. Arizona skies are vast. Maybe it's time to claim a little space to call your own. Place a deposit today to secure your new place to call home.?
?Property Specifications
LANDIO ID: Az_Pima_00002
Price: $20,000
Parcel Size: 1.26 Acres +/-
Address: 11030 S Mare Dr, Tucson, AZ 85736
Apn: 301-58-1390
Legal Description: Diamond Bell Ranch/Tucson-Chaparral Unit Lot 139
Property Taxes: $161 per year
HOA Fee: None
General Elevation: 2,680 feet
Title: Free & Clear
Conveyance: Warranty Deed?
Approximate Distance to Nearby Cities & Points of Interest
3.7 miles to Three Points, AZ : Population 5,000
20.2 miles to Saguaro National Park
30.4 miles to Tucson, AZ : Population 1,043,000
41.8 miles to Sahuarita, AZ : Population 36,000
45.2 miles to Buenos Aires National Wildlife Refuge
45.9 miles to Coronado National Forest
87.3 miles to Nogales, AZ : Population 20,000
96 miles to Patagonia Lake State Park
128 miles to Phoenix, AZ : Population 1,650,000
Visiting the Property
You are welcome to visit the Property while it is available. Please contact Landio for instructions by Call or Text anytime at: 866-8-Landio )
Gps Coordinates (approximate)
North Corner: 32.948, -111.30724048236
East Corner: 32.843, -111.306894924171
South Corner: 32.249, -111.307611791909
West Corner: 32.806, -111.307974105349
Center Point: 32.05038, -111.30743
Purchase Process
To Purchase this Property, Click the BUY NOW Button above & Place Your $499 Deposit. You will receive an Instant Notification that your $499 Deposit has been made & the BUY NOW Button will turn Gray and read "Out OF Stock".
The $499 Deposit will be credited towards your Purchase of this Property.
Purchase Must Be Completed within 21 Calendar Days of the Date the Deposit is placed. A partial refund of $250 may be requested within 5 Calendar Days from the date of the deposit. After the 5th Calendar Day, all cancelled purchases will not be eligible for a refund.
For Questions or to Purchase this Property, please Call or Text Landio anytime at 866-8-Landio )
Reference Landio Property ID: Az_Pima_00002
Property to Sell? Visit: Property is presented For Sale By Owner. Seller is a Licensed Real Estate Agent in the State of Texas.
Lot Maps & Attachments
More Lot Details
More Lots from LANDiO
15.7 AC : $133K
9.5 AC : $81.3K
7.7 AC : $65.7K
11.6 AC : $99K
1 AC : $20K
8.3 AC : $70.6K
3 AC : $65K
15.9 AC : $136K
10.4 AC : $88.6K
0.8 AC : $20K
4.1 AC : $85K
0.9 AC : $20K



















