Dream Homestead
Sanford, CO 81151
Costilla County, Colorado
Lot Description
5 Acres in Colorados San Luis Valley Stunning Mountain Views, Water Rights, Easy Access, Owner Financing
Escape to wide-open space and breathtaking scenery with this approximately 5-acre property in Colorados San Luis Valley, the largest alpine valley in the world. Sitting at an elevation of roughly 7,670 feet, this area enjoys four distinct seasons, moderate summer temperatures, crisp winters, and an incredible 280 days of sunshine per year.
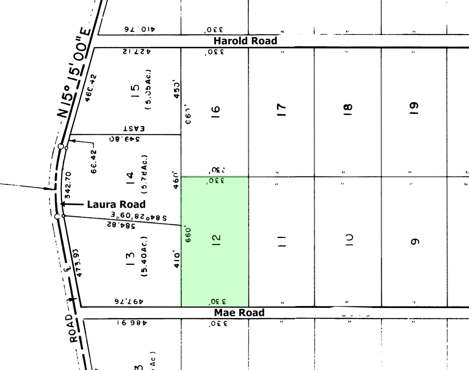
The property is located in the Rio Grande Ranchos subdivision, Unit 46, Block 10, Lot 12, in Costilla County, Colorado. Highways 142 and 159 are conveniently nearby, making access easy year-round. Driving to the property from Highway 142 is straightforward, and we had no trouble navigating the area with our RV. Lot 12 is located along nicely graded Mae Road.
San Luis, the county seat and the oldest town in Colorado (founded in 1851), is close by. The city of Alamosa, with a population of approximately 9,800, is about 25 miles away and offers grocery stores, restaurants, medical facilities, shopping, and all essential services.
This property is located in a quiet, sparsely inhabited area, offering privacy without isolation. The land is flat and usable, making it ideal for building, camping, or long-term investment. One of the most valuable features is the grandfathered domestic water rights, allowing you to drill a private well for household usean increasingly rare and desirable asset in Colorado.
Electricity has not yet been extended to this area, so the property is off-grid, making it perfect for solar power, alternative energy systems, and self-sufficient living. There are no municipal utilities, giving you freedom and low holding costs.
The views are truly spectacular. In nearly every direction, you are surrounded by iconic Rocky Mountain scenery:
Mt. Blanca (14,345 ft) to the north
Ute Mountain to the south
The dramatic Sangre de Cristo Mountains stretching from north through southeast
The San Juan Mountains rising to the west
The rolling Pinon Hills completing the panorama
The property is located about one mile from the Rio Grande River, and just across the river lie hundreds of thousands of acres of public land, including BLM land, Carson National Forest, and state lands, offering endless opportunities for hiking, hunting, fishing, camping, wildlife viewing, and outdoor recreation.
Nearby attractions include Eastdale Reservoir, Sanchez Reservoir State Wildlife Area, Smith Reservoir, Mountain Home Reservoir, Fort Garland Museum, White Mountain Trading Post Living History Museum, and several natural hot spring pools.
This land is ideal for a dream homestead, a recreational basecamp, or a long-term investment. You may also RV or camp up to 14 days every three months while planning future use.
Owner financing is available.
We offer simple, straightforward terms:
No credit checks
Everyone qualifies
Same terms for all buyers
If you are looking for affordable Colorado land with water rights, easy access, unmatched mountain views, and nearby public land, this property deserves your attention.
Cheap land of this high quality is increasingly difficult to find, especially in Colorado. You should buy now before the price inevitably goes up.
With an initial payment of $294 we will finance the balance for as little as $177.93 per month over 11 years. Or you can choose to buy the property outright instead of financing, and receive a 10% cash discount.
For more information or to purchase, please click on the green Land Website button below.
Lot Maps & Attachments
Directions to Lot
From Alamosa, drive south on US Highway 285 S / West Avenue.
21.4 miles later turn left onto CO 142 E / Main St.
14.7 miles later turn right onto Rio Grande Avenue.
2.4 miles later turn left at 37.148122 -105.733434.
0.25 mile later turn left onto Laura Road.
0.94 mile later turn left onto Mae Road.
182 yards later Lot 12 will be on your left.
More Lot Details
More Lots from Samantha Stephens
0.3 AC : $4K
0.8 AC : $18K
0.4 AC : $5K
0.3 AC : $3K
1.2 AC : $9K
7.5 AC : $12K
1 AC : $4K
1 AC : $15K
0.3 AC : $4K
1 AC : $5K
0.3 AC : $7K
0.4 AC : $10K




















